Zdá se, že používáte prohlížeč, který nepodporuje dnešní standard pro zobrazování obsahu na webu. To může způsobit, že některé části webu nemusí fungovat správně. Doporučujeme Vám prohlížeč aktualizovat nebo si stáhnout takový, který současné standardy splňuje.

Nastavení cookies

"Cookies" jsou malé soubory prohlížeče, které nám umožňují dočasně ukládat informace ohledně vašeho zařízení a vás, jako uživatele, výhradně v době, kdy procházíte web Libereckého kraje. Tyto soubory nám pomáhají získat informace o návštěvnosti a chování uživatelů, na základě kterých web průběžně vylepšujeme.

Přeskočit navigaci a přesunout k obsahu

Upozornění

Liberecký kraj se opět zapojuje do kampaně Česko svítí modře. Podpoří lidi s autismem. Modře bude svítit logo na budově krajského úřadu od 2. do 7. dubna 2026.

Více informací
Přeskočit obsah stránky a přesunout k patičce

Proč Indonésané loví mořské želvy? Mezinárodní výzkum vedený libereckou zoo odhaluje souvislosti

Jan Mikulička

odborný zaměstnanec

  • 19. 11. 2025 12:12
  • Kultura

Sdílet článek

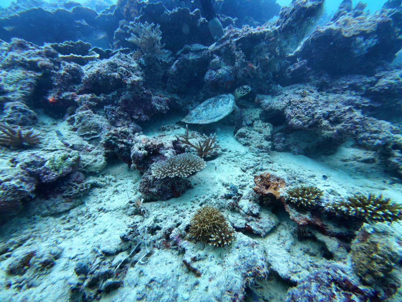
Mezinárodní tým vědců vedený libereckou zooložkou Adélou Hemelíkovou téměř tři roky zjišťoval, proč i přes zákonnou ochranu stále pokračuje intenzivní lov a využívání mořských želv v Indonésii. Výsledky výzkumu přinesly důležitá zjištění: i když většina lidí ví, že lov želv je nelegální, v mnoha komunitách hrají rozhodující roli tradice, víra a zakořeněné mýty. Získaná data vedou k pochopení skutečných příčin, které brání účinné ochraně mořských želv, a zároveň jsou inspirací k hledání ochranářských řešení, která budou pro místní komunity přijatelná a udržitelná.

Zoo Liberec se záchraně mořských želv v Indonésii věnuje už více než deset let. Na ostrově Bangkaru, který patří mezi nejvýznamnější hnízdiště ohrožených karet obrovských a kožatek velkých v celé Indonésii, vede společně s místními partnery program na ochranu hnízdních pláží mořských želv, realizuje protipytlácké hlídky i vzdělávací programy pro místní komunity. Zkušenosti z těchto ochranářských aktivit a snaha o efektivnější ochranu biodiverzity v regionu vedly k zahájení výzkumu, jehož cílem je porozumět tomu, proč místní lidé želvy navzdory přísným zákonům stále loví, a najít způsoby, jak změnit chování amotivovat, aby je naopak chránili.

Tým vedený Adélou Hemelíkovou, vedoucí oddělení ochrany přírody a výzkumu Zoo Liberec a doktorandkou České zemědělské univerzity v Praze, provedl rozhovory se 140 lidmi z různých oblastí Sumatry – Padang, Mentawai a Nias, které jsou dlouhodobě považovány za místa s nejvyšším lovem želv. „Respondenti odpovídali na otázky týkající se jejich věku, vzdělání, zaměstnání a náboženského vyznání. Dále byli dotazováni, zda sami loví želvy nebo sbírají či konzumují jejich vejce, jaké části želv využívají (například vejce, maso či želvovinu) a k jakým účelům. Zajímaly nás také jejich postoje k ochraně mořských želv a vnímání významu želv v oceánech. Cílem výzkumu bylo zjistit, jak osobní, kulturní a náboženské faktory ovlivňují vztah místních obyvatel k mořským želvám, říká Adéla Hemelíková, vedoucí oddělení ochrany přírody a výzkumu v Zoo Liberec.

Výsledky výzkumu ukázaly, že lov a využívání mořských želv je na indonéské Sumatře stále rozšířené, i když se jeho podoba liší podle oblasti a místních tradic. V Padangu, na pevninské části Sumatry, lidé nejčastěji využívají želví vejce ke konzumaci, a to především kvůli jejich domnělým léčivým účinkům.

Na odlehlejších ostrovech Mentawai a Nias, kde stále částečně přetrvává animistická víra, je situace odlišná. Zde tamní komunity využívají všechny části želv – maso, vejce, kosti, krev i tuk – často v souvislosti s náboženskými či kulturními rituály.

Nejčastějším předmětem obchodu ve všech oblastech však zůstává želvovina pocházející z kriticky ohrožené karety pravé.

Přestože naprostá většina respondentů ví, že jsou mořské želvy jsou chráněné a za lov hrozí postih, pytláctví se stále nevyhýbají. Často totiž věří různým mýtům, například že se želvy živí rybami, a tím výrazně snižují úlovky místních rybářů. Právě takové mylné představy mohou vysvětlovat, proč lov pokračuje i přes povědomí o jeho nelegálnosti,“ dodává Hemelíková.

Výzkum ukazuje, že účinná ochrana mořských želv musí stát především na spolupráci s místními komunitami. Bez jejich zapojení nelze dosáhnout trvalých výsledků. Vědci proto doporučují několik kroků, které mohou přispět k udržitelnější ochraně:

 

  • Nabízet náhrady za želví produkty používané nejen jako zdroj proteinu, ale i v náboženských a animistických rituálech, a tím snižovat poptávku po skutečných želvách.
  • Vytvářet nové pracovní příležitosti – například podporovat ekoturistiku a rozvoj řemesel, aby lidé nemuseli být závislí na lovu želv.
  • Posilovat vzdělávání a osvětu o ekologickém významu mořských želv a jejich roli v mořských ekosystémech.
  • Podporovat hlídky a komunitní monitoring přímo v terénu, aby ochrana probíhala efektivně a s aktivní účastí místních obyvatel.

 

Výsledky výzkumu nám ukazují, že k účinné ochraně nestačí jen zakázat lov. Je potřeba lidem ukázat, proč jsou želvy pro mořské ekosystémy důležité a jak mohou být přínosem i pro ně samotné, třeba prostřednictvím ekoturistiky nebo ochranářských projektů. Takový přístup pomáhá nejen želvám, ale i komunitám samotným. Přináší jim nové příležitosti, stabilnější zdroje příjmů a posiluje vztah k přírodě, která je obklopuje. To se nám ostatně již potvrdilo i na ostrově Bangkaru. Právě tam vidíme, že když se místní lidé stanou součástí řešení, výsledky přicházejí. Díky dlouhodobému programu s místními strážci se zde podařilo pytláctví vymýtit,“ uzavírá ředitel Zoo Liberec David Nejedlo.

Výzkum realizovala Zoo Liberec ve spolupráci s Českou zemědělskou univerzitou v Praze, Univerzitou Syiah Kuala (Indonésie) a WWF. Výsledná studie s názvem „Exploring sociodemographic and cultural characteristics of sea turtle take and use to support effective conservation strategies in Indonesia“ byla dokonce publikována v přestižním vědeckém časopise People and Nature.

TZ: Zoo Liberec

Sdílet článek

Zpět
Přeskočit patičku a přesunout na konec stránky Zpět na začátek stránky